Open Source LIMS od HPST, s.r.o.

HPST: Open Source LIMS FreeLAB
Milí zákazníci,
k Vánocům pro vás máme dárek s názvem FreeLAB - inovativní open source projekt pro vaši laboratoř umožňující automatický sběr dat nejen z přístrojů Agilent Technologies. Chceme vám umožnit lépe nahlížet na vaše data, odhalit souvislosti, dát možnost zapomenout na psaní laboratorního deníku a získat statistické údaje o analýzách napříč laboratoří. Pomocí automatického parseru lze importovat také konečné analytické výsledky. A to není zdaleka vše!
FreeLAB, je open source webová aplikace provozována v interní síti laboratoře, která se primárně zaměřuje na sběr dat z různých laboratorních softwarů s cílem umožnit uživatelům přístup k přehledné statistice analýz a dalším užitečným funkcím poptávaným přímo analytiky v laboratořích. Je vytvořena společností HPST, s.r.o., a je distribuována pod licencí GNU GPL.
Funkce:
- Statistika analýz pro přístroje a projekty
- Interní publikační systém (Wiki)
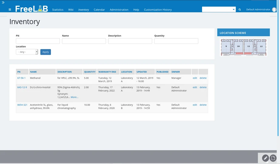
- Inventář chemikálií, standardů, kolon a vybavení
- Sdílený laboratorní kalendář
- Automatický parser dat txt, csv, xml,...
- Neomezené možnosti customizace
Více informací, demo a možnost stažení naleznete na na webu freelab
Výchozí podpora SW
Open Source LIMS FreeLAB
- OpenLAB CDS 2.x
- OpenLAB ChemStation
- MassHunter for GCMS
- Third Party SW (via Automatic Parser)
Případné dotazy nám prosím napište na forum projektu FreeLAB nebo emailem na [email protected]
Tým HPST, s.r.o.
HPST: Open Source LIMS FreeLAB - Example Network Scheme
HPST: Open Source LIMS FreeLAB - Basic Administration
HPST: Open Source LIMS FreeLAB - Basic Administration
HPST: Open Source LIMS FreeLAB - Basic Administration
HPST: Open Source LIMS FreeLAB - Basic Administration
HPST: Open Source LIMS FreeLAB - Basic Administration
HPST: Open Source LIMS FreeLAB - Basic Administration




